L’article suivant est tiré d’un bulletin archivé. Consultez notre bulletin Eaux partagées.

Cartographie des Grands Lacs pour compléter nos connaissances

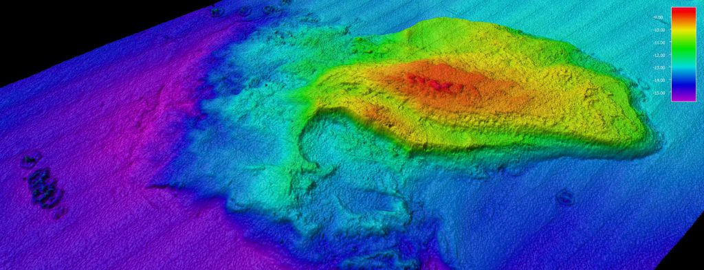
high resolution thunder bay noaa

Les Grands Lacs forment un vaste réseau de bassins reliés entre eux qui s’étend le long de la frontière canado-américaine. Cependant, moins de 15 % du fond de ces lacs a été cartographié à l’aide de technologies de bathymétrie à haute résolution. Nos connaissances sur ces précieux bassins hydrographiques sont donc encore très incomplètes. Le Great Lakes Observing System souligne que la cartographie à haute résolution, ou à haute densité, effectuée à moins de 10 mètres permet de voir de petits objets comme des rochers, des épaves, des câbles marins et des pipelines.

L’organisme non gouvernemental ontarien Waterlution et le Northwestern Michigan College (NMC) ont constitué un partenariat international en vue de combler ce manque de connaissances et de mieux gérer et protéger les lacs.

Waterlution et NMC espèrent que leur partenariat permettra aux acteurs des différents secteurs concernés d’échanger des connaissances et d’élaborer de meilleurs méthodes pour comprendre ces écosystèmes.

Dans son rapport d’étape de 2020, la National Oceanic and Atmospheric Administration (NOAA) des États-Unis affirme que les données sur la profondeur, la forme et la composition du fond marin sont essentielles à l’exploration, au développement durable, à la compréhension, à la conservation et à la gestion des ressources naturelles côtières et extracôtières.

Grâce à un financement du consulat général des États-Unis à Toronto, les organismes Waterlution et NMC organisent six webinaires présentant des conférences données par des spécialistes de l’eau de la NMC et par des travailleurs de Waterlution formés au renforcement des capacités. Ces webinaires ont commencé en mai et se termineront en novembre.

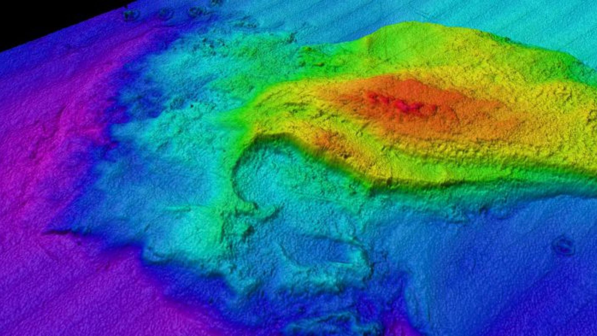
mapping coastal realm noaa
Carte bathymétrique en haute résolution d’une zone riveraine. Image tirée d’un exposé de Brandon Krumwiede sur la cartographie des berges. Crédit photo : NOAA

Ces webinaires touchent une myriade de sujets, dont la cartographie, la technologie, les berges, l’habitat, la pêche, la géologie et l’archéologie. Les principaux conférenciers sont des scientifiques et des spécialistes des politiques. Ils décrivent l’état des Grands Lacs ainsi que les changements à apporter et les problèmes qu’il faudra aborder en lançant des initiatives binationales et multisectorielles.

Tout au long de ces webinaires, la contribution de Waterlution consiste à aiguiller les activités de réseautage et à animer des discussions riches et approfondies. Elle sera particulièrement importante au cours d’un événement de collaboration qui aura lieu le 18 novembre et qui offrira aux participants de la formation axée sur le dialogue ainsi qu’une séance intitulée World Café, au cours de laquelle on récapitulera toutes les conférences présentées pendant les webinaires.

Cette série de conférences repose avant tout sur la collaboration en réseau et sur les compétences techniques. Elle vise à combler notre important déficit de connaissances de ces bassins hydrographiques. Ses résultats éclaireront l’élaboration des politiques à établir pour mieux protéger ces lacs.

Le cinquième événement de cette série est le congrès virtuel Lakebed 2030, qui aura lieu du 29 septembre au 1er octobre. Aux deux organisateurs principaux,Waterlution et NMC, s’ajouteront des partenaires comme NOAA, la Marine Technology Society, le Great Lakes Observing System, Marine Center du Northwestern College et de la Hydrographic Society of America. Ce congrès est offert sans frais grâce à une subvention du consulat américain.

À cette occasion, des scientifiques, des chercheurs, des analystes de politiques, des fonctionnaires et des membres de l’industrie se réuniront pour discuter de la cartographie marine et pour élaborer une stratégie de catégorisation des données sur le lit des lacs. Ils présenteront également les progrès technologiques considérables réalisés par la communauté scientifique des Grands Lacs.

northwestern michigan college rov lake michigan
Des étudiants du Northwestern Michigan College mènent des opérations d’arpentage dans le lac Michigan à l’aide de véhicules téléguidés. Source : Northwestern Michigan College

Les relations établies au cours de ces webinaires et pendant le congrès permettront non seulement de mieux comprendre ces Grands Lacs dont dépendent tant de gens, mais aussi d’établir des partenariats durables pour aborder les problèmes futurs afin de mieux protéger ces bassins hydrographiques.

Inscrivez-vous au congrès Lakebed 2030 ici et à l’événement de collaboration ici pour être tenu au courant des progrès réalisés par les spécialistes de l’eau en cartographie afin de mieux comprendre les lits des Grands Lacs.

Abonnez-vous à notre bulletin !

Formulaire d'inscription